First Shaughnessy

Overview

Description

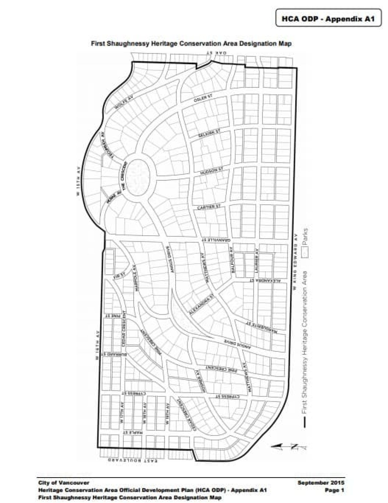
First Shaughnessy is a designated heritage conservation area with boundaries from West 16th, Marpole, Wolfe and Richelieu avenues to the north, Arbutus Street to the west, West King Edward Avenue to the south, and the west lane of Oak Street to east.

Source

https://vancouver.ca/home-property-development/vancouvers-heritage-areas.aspx

Map

First Shaughnessy

Contact

Please Share Your Stories!

Send us your stories, comments or corrections about this site.

If you have any images of this site, please share it with us!

Once you hit submit, an email will be sent to you to confirm that we have received your story submission. Please reply to the confirmation email with a few photos of this site!